
Värske rohelus paneb südame rõõmsalt põksuma, annab toredaid mõtteid ning kannab meid rutiinsest stressikeskkonnast eemale. Üksik taim on üksik, paaris on juba põnevam, kuid üks hea seltskond taimi on...

Tapeedivalik võtab silme eest kirjuks. Iga seina tapetseerimiseks on aga oma nipid....

Toataimedele sobiv muld peaks olema toitainerikas, kobe, sõmer, hästi vett ja õhku läbi laskev. Selliseid omadusi lisavad mullale sõre kruus, kuiv saepuru, männikoorepuru, turbasammal (sphagnum), puus...

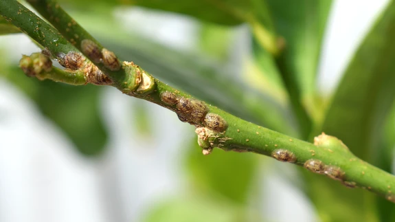
Kilptäid on 3–5 mm pikkused pruunid „kühmukesed”, mida kogenematu silm ei oska taimel märgatagi. Neid tuleb otsida lehtede alumiselt poolelt pearoodude lähedalt, lehevartelt, võrsetelt ja õieraagudelt...

Toataimed vajavad samuti talvist puhkehetke. Alati ei pruugi nende hävimisele saatuslikuks saada kahjurid, vaid hoopis keerulised eluolud ja liigne armastus....

Igas kodus on kohti, kuhu päevavalgus ei ulatu. See pole põhjus toataimedest loobumiseks, lihtsalt tuleb leida õige taim. Vähese valgusega kohtadesse sobivad need liigid, kes ka looduses on kohastunud...

Nüüd on viimane aeg oma toalilled talveunest üles äratada. Parim viis virgumiseks on soe dušš, mis lehed tolmust puhastab ja eluvaimu sisse toob. Tihti ongi taime hukkumise põhjuseks vale kastmine. Ku...

Kuigi liiga kuuma suve üle ei saa igal aastal kurta, on juulis päikest ikka kõvasti rohkem kui ülejäänud aastal. Tavaliselt on kevadised lilleistutused kesksuveks ka välja veninud ja tahaks midagi uut...

Nii loomelinnakutesse, koduaedadesse kui ka metsa kerkib klaasist kasvuhooneid tänavu nagu seeni pärast vihma. Need on kasutusel ka kõigeks muuks peale taimekasvatuse – neis on koha leidnud kohvikud, ...

Mis teha siis, kui tahaksid terrassile või rõdule rohelust, aga oled suur reisisell või lihtsalt väga harva kodus püsid? Või kui tahadki kodus end vabamalt tunda, mitte kogu aeg veekannuga lilli jootm...